Cây Tùng Hoàng Kim là một trong những loại cây thân gỗ đẹp và quý hiếm, không chỉ nổi bật với vẻ ngoài bắt mắt mà còn mang lại nhiều ý nghĩa tâm linh và phong thủy trong cuộc sống con người.
1 Tìm Hiểu về Cây Tùng Hoàng Kim
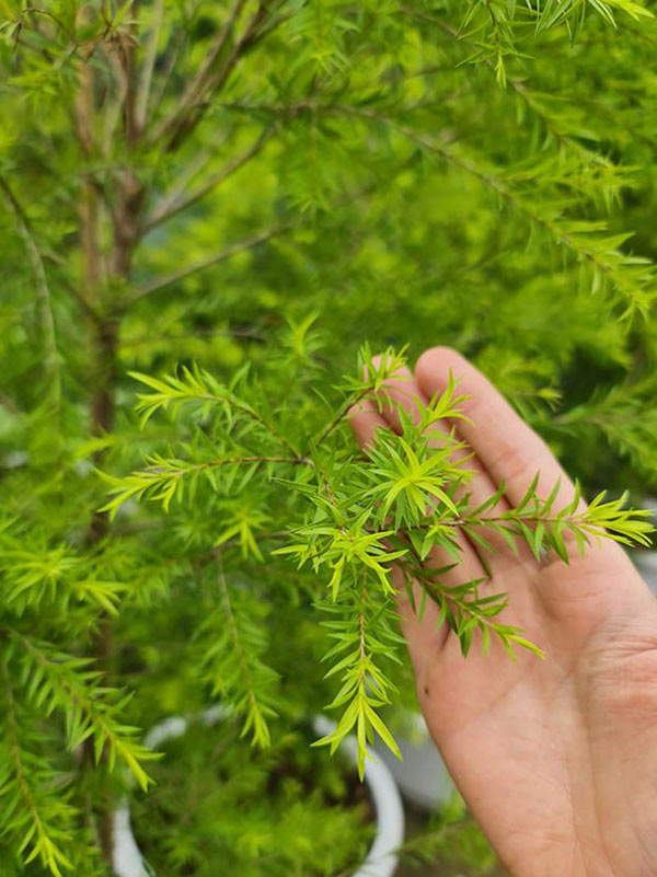
Cây Tùng Hoàng Kim (tên khoa học: Podocarpus macrophyllus) là một cây thuộc họ Tùng, có nguồn gốc từ các khu rừng nhiệt đới ở các nước châu Á như Trung Quốc, Nhật Bản, Việt Nam. Cây này được biết đến với vẻ đẹp sang trọng của tán lá và màu sắc hấp dẫn. Dưới đây sẽ là những khía cạnh cơ bản giúp chúng ta hiểu rõ hơn về loại cây này.
Đặc Điểm Sinh Học của Cây Tùng Hoàng Kim
Cây có thể phát triển cao từ 1 đến 10 mét, với tán lá xanh tươi, có hình dạng dài và nhọn.
- Thân Cây: Thân cây thường thẳng đứng, có đường kính khoảng 20-30cm ở tuổi trưởng thành. Vỏ cây có màu xám, nhẵn và có sự phân lớp tự nhiên.
- Lá Cây: Lá của cây rất đặc trưng với kích thước lớn, thường dài khoảng 10-15cm và rộng từ 2-4cm. Các lá mọc đối xứng, tạo nên một hình dáng đẹp mắt. Màu sắc lá xanh mượt, có thể giữ được màu sắc này trong suốt cả năm.
- Quả Cây: Cây Tùng Hoàng Kim ra quả vào mùa hè, quả hình bầu dục, có màu xanh sáng, thường chín vào khoảng mùa thu.
Phân Bố và Thổ Nhưỡng của Cây
Cây chủ yếu phân bố ở các khu rừng nhiệt đới, thích hợp với khí hậu ẩm và độ ẩm cao.
- Điều Kiện Tốt Nhất: Cây phát triển tốt nhất ở nơi có ánh sáng mặt trời đầy đủ nhưng vẫn có thể sinh trưởng trong bóng râm. Độ pH của đất lý tưởng cho cây thường nằm trong khoảng 6-7.
- Sự Chịu Đựng: Cây có khả năng chịu được cả những điều kiện khắc nghiệt, như hạn hán và đất nghèo dinh dưỡng. Điều này làm cho cây trở thành một lựa chọn lý tưởng cho những khu vực khó khăn trong việc trồng trọt.
Vai Trò của Cây
Cây không chỉ có giá trị thẩm mỹ mà còn có vai trò quan trọng trong hệ sinh thái.
- Giá Trị Sinh Thái: Cây cung cấp môi trường sống cho nhiều loài động vật và côn trùng. Lá của cây là nguồn thức ăn cho một số loài động vật.
- Vai Trò trong Chống Xói Mòn: Với hệ thống rễ sâu và mạnh, cây giúp giữ cho đất có độ ổn định cao, góp phần chống xói mòn và giữ gìn chất lượng đất.

2 Ý Nghĩa Phong Thủy và Tâm Linh của Cây Tùng Hoàng Kim
Trong văn hóa Việt Nam, Cây thường được xem là biểu tượng của sự trường thọ, vững chắc và phát triển. Vậy lý do gì khiến cây này mang lại nhiều ý nghĩa phong thủy?
Cây Tùng Hoàng Kim và Tâm Linh Con Người
Theo quan niệm phong thủy, cây Tùng trong ngày mùng một Tết Nguyên Đán được xem là mang lại may mắn và thịnh vượng cho gia đình.
- Biểu Tượng của Tài Lộc: Những người trồng cây này trong nhà tin rằng hành trình phát triển của nó sẽ mang lại tài lộc cho gia đình.
- Sự Trường Thọ: Nhiều người tin rằng cây này giúp tăng cường sức khỏe và sự trường thọ, làm cho bầu không khí trong nhà thêm phần sống động.
Cách Chăm Sóc Cây Tùng Hoàng Kim Để Tận Dụng Tối Đa Ý Nghĩa Phong Thủy
Để cây phát triển tốt và mang lại ý nghĩa phong thủy tích cực, cần có một chế độ chăm sóc đúng cách.
- Tưới Nước Đúng Cách: Cây cần được tưới nước đầy đủ, tránh để đất quá ướt hay quá khô.
- Bón Phân Đầy Đủ: Thường xuyên bón phân hữu cơ để cây phát triển khỏe mạnh, tăng khả năng hấp thụ chất dinh dưỡng từ đất.
- Cắt Tỉa Thường Xuyên: Cắt tỉa những cành lá khô, héo để cây luôn tươi tốt và phát triển đồng đều hơn.

3 Cây Tùng Trong Nghệ Thuật Và Kiến Trúc
Cây không chỉ được trồng trong vườn mà còn được ứng dụng nhiều trong nghệ thuật và kiến trúc.
Ứng Dụng Cây Trong Kiến Trúc
Cây này thường được trồng làm cảnh ở các công viên, khu nghỉ dưỡng và những khu vực công cộng.
- Thiết Kế Cảnh Quan: Vẻ đẹp sang trọng của cây giúp tạo ra không gian xanh và thư giãn cho những khu vực đô thị.
- Làm Điểm Nhấn: Sự hiện diện của cây Tùng trong các công trình kiến trúc giúp tạo ra sự cân bằng giữa thiên nhiên và con người, tạo cảm giác thoải mái và dễ chịu.
Cây Tùng Trong Nghệ Thuật
Không chỉ dừng lại ở việc làm cảnh, cây còn là nguồn cảm hứng cho nhiều tác phẩm nghệ thuật.
- Tranh Vẽ: Nhiều nghệ sĩ thường chọn hình ảnh của cây Tùng để thể hiện sự kiên cường và trường tồn.
- Tượng Điêu Khắc: Một số tác phẩm điêu khắc cũng khắc họa hình ảnh của cây để biểu thị vẻ đẹp tự nhiên và tâm hồn con người.
Văn Hóa Và Nghệ Thuật Dân Gian
Trong nhiều nền văn hóa, cây thể hiện hình ảnh của sự kiên cường qua các truyền thuyết và câu chuyện dân gian.
- Câu Chuyện Dân Gian: Tùng Hoàng Kim thường xuất hiện trong các câu chuyện cổ tích Việt Nam, tượng trưng cho lòng dũng cảm và sự hy sinh.
- Biểu Tượng Văn Hóa: Cây còn là biểu tượng cho tinh thần dân tộc, thể hiện ý chí vươn lên của con người Việt Nam.

4 Giá Trị Kinh Tế và Thương Mại Của Cây Tùng Hoàng Kim
Cây Tùng Hoàng Kim không chỉ quý giá ở ý nghĩa tâm linh mà còn có giá trị kinh tế cao.
Thị Trường Cây Cảnh
Ngày nay, cây Tùng rất được ưa chuộng trong thị trường cây cảnh.
- Sự Quan Tâm Từ Ngành Thương Mại: Nhu cầu trồng cây cảnh ở văn phòng, nhà ở và khu vực công cộng ngày càng tăng cao, dẫn đến giá trị thị trường của cây Tùng Hoàng Kim tăng lên đáng kể.
- Giá Trị Bán Ra: Những cây trưởng thành có thể được bán với giá cao, tạo nên một ngành kinh doanh đầy tiềm năng cho người trồng cây.
Ngành Nghề Trồng Cây Thương Mại
Nhiều người đã bắt đầu khởi nghiệp bằng việc trồng và bán cây Tùng Hoàng Kim.
- Khởi Nghiệp Bền Vững: Với nhu cầu ngày càng cao, việc trồng cây Tùng Hoàng Kim có thể trở thành một nguồn thu nhập ổn định và bền vững cho nông dân.
- Phát Triển Công Nghệ: Việc áp dụng công nghệ trong trồng cây như tưới tiêu, chăm sóc cây cũng làm cho cây dễ dàng phát triển và gia tăng năng suất.
Lợi Ích Kinh Tế Từ Cây Tùng Hoàng Kim
Cây Tùng Hoàng Kim mang lại nhiều lợi ích kinh tế cho cả người trồng lẫn xã hội.
- Tạo Ra Việc Làm: Người trồng cây Tùng cũng tạo ra việc làm cho nhiều người khác trong quá trình chăm sóc, thu hoạch và tiêu thụ.
- Thúc Đẩy Ngành Du Lịch: Những vườn cây Tùng Hoàng Kim xinh đẹp cũng sẽ thu hút khách du lịch, thúc đẩy nền kinh tế địa phương.
Cây Tùng Hoàng Kim không chỉ là một loại cây có giá trị cảnh quan mà còn mang nhiều ý nghĩa văn hóa và kinh tế trong cuộc sống. Qua bài viết này, hy vọng bạn có thêm cái nhìn sâu sắc về cây Tùng Hoàng Kim và ứng dụng của nó trong đời sống hàng ngày.
Kết luận
Cây Tùng Hoàng Kim không chỉ là một thành phần quan trọng trong cảnh quan tự nhiên mà còn có giá trị lớn về mặt tâm linh, nghệ thuật và kinh tế. Với những đặc điểm sinh học nổi bật, ý nghĩa phong thủy sâu sắc và tiềm năng trong ngành thương mại, cây Tùng Hoàng Kim hứa hẹn sẽ tiếp tục khẳng định vị thế của mình trong lòng người Việt. Hãy trân trọng và bảo vệ loại cây quý giá này để nó có thể phát triển bền vững trong tương lai.

Cây Hoa Đỗ Quyên chưng tết tphcm
Cây Én Vàng Leo Trụ Cao 1m Tphcm
Cây Hồng Hạc cuống cam
Cây Hoa Tường Vi màu hồng cao 1m5 







Hoa Kiểng Phúc Lộc –
Tùng hoàng kim nhìn lá đẹp quá